Écophysiologie et comportement des poissons dans des environnements en changement — FR & EN
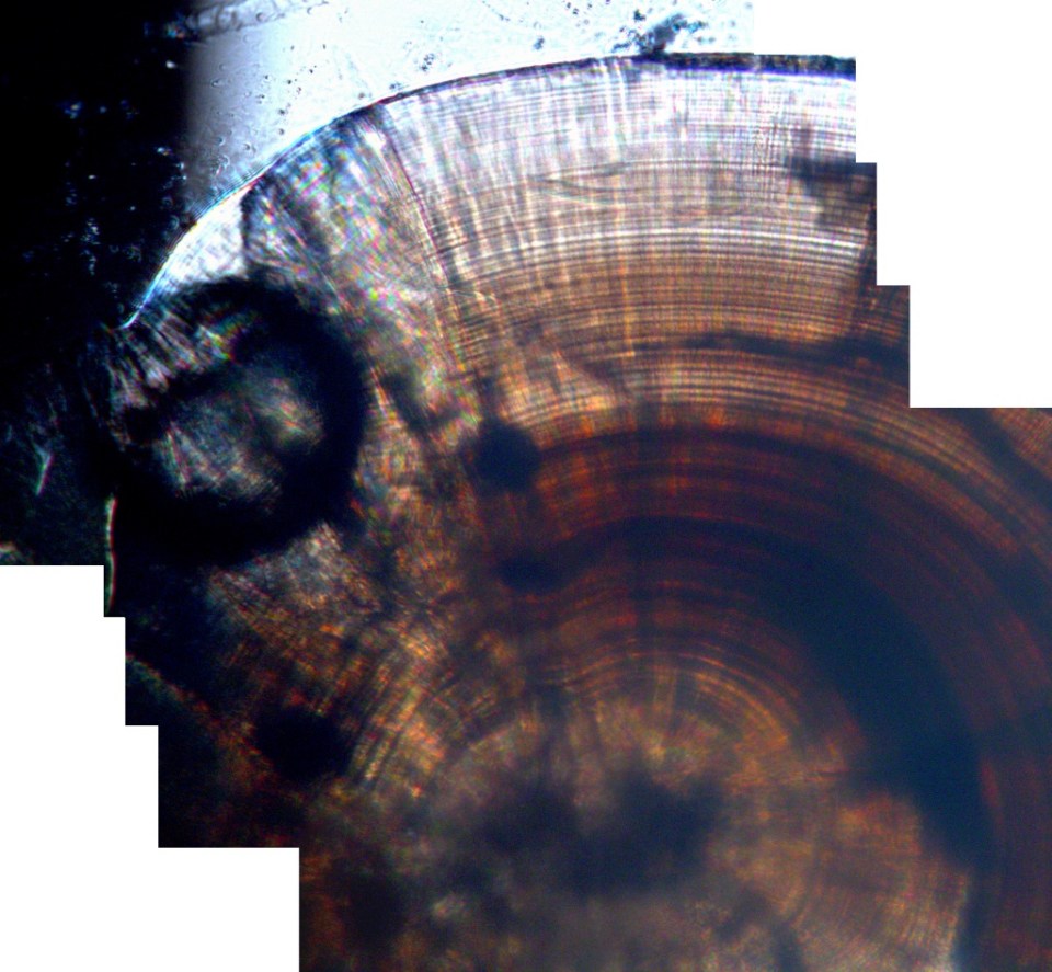
SM2A3-SD_400X_fusionPS_small
Otolithe de saumon atlantique 0+ de la rivière Ste-Marguerite posé sur lame de microscope. /Otolith of young of the year Atlantic salmon from Ste-Marguerite river on microscope slide